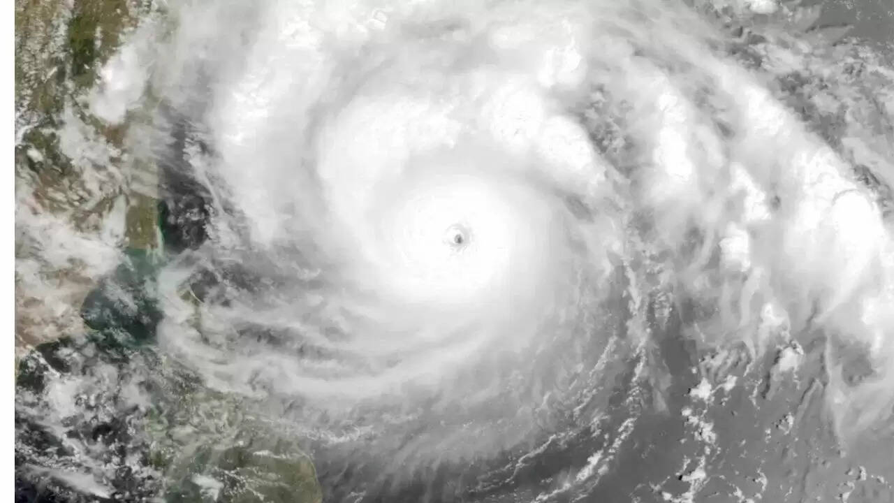
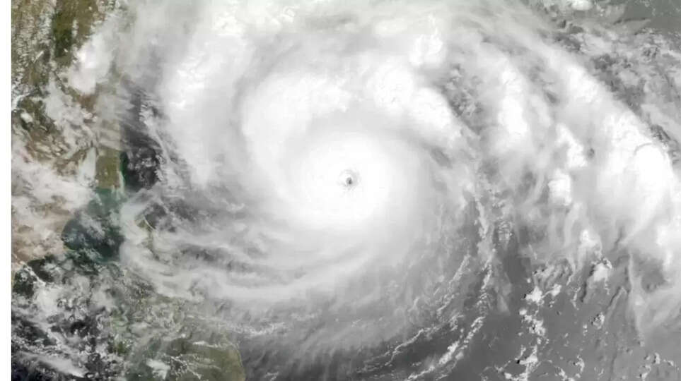
அதி தீவிர புயலாக மாறியது மோக்கா
வங்கக்கடல் பகுதிகளில் நிலவிய "மோக்கா” புயலானது தீவிர புயலாக வலுப்பெற்று வடக்கு திசையில் நகர்ந்து மிகத்தீவிர புயலாக மத்திய மற்றும் அதனை ஒட்டிய தென்கிழக்கு வங்கக்கடல் பகுதிகளில் போர்ட் பிளேயரில் இருந்து சுமார் 530 கிலோ மீட்டர் மேற்கு- வடமேற்கே நிலைகொண்டது.

இது வடக்கு-வடகிழக்கு திசையில் நகர்ந்து மத்தியகிழக்கு வங்கக்கடல் பகுதிகளில் மேலும் வலுப்பெற்று நாளை தென்கிழக்கு வங்கதேசம் மற்றும் வடக்கு மியான்மர் கடற்கரையை கடக்கக்கூடும். அந்த சமயத்தில் காற்றின் வேகம் 150 முதல் 160 கிலோ மீட்டர் வேகத்திலும் இடையிடையே 175 கிலோ மீட்டர் வேகத்தில் வீசக்கூடும் என்று வானிலை ஆய்வு மையம் கூறியிருந்தது.

இந்நிலையில் வங்க கடலில் நிலைகொண்டுள்ள மோக்கா புயல் அதி தீவிர புயலாக மேலும் வலுவடைந்துள்ளது. தற்போது போட்ர் பிளேயருக்கு வடமேற்கே சுமார் 570 கி.மீ.. தொலைவில் நிலைகொண்டுள்ளது. பயல் கரையை கடக்கும் போது மேற்கு வங்கம், ஒடிசா, அசாம் உள்ளிட்ட மாநிலங்களும் பாதிக்கப்படும் என்று வானிலை ஆய்வு மையம் எச்சரிக்கை விடுத்துள்ள நிலையில் தேசிய பேரிடர் மீட்பு படையினர் விரைந்துள்ளனர். இதன் காரணமாக வட மேற்கு வங்கக்கடல் பகுதிகளில் இன்று முதல் நாளை நண்பகல் வரை மணிக்கு 60 முதல் 70 கிலோ மீட்டர் வேகத்திலும் இடையிடையே 80 கிலோ மீட்டர் வேகத்திலும் வீசக்கூடும். அதன்பிறகு காற்றின் வேகம் படிப்படியாக குறையக்கூடும் என்று தெரிவிக்கப்பட்டுள்ளது.


